Wiadomości z Świętochłowic

Utrudnienia drogowe w Świętochłowicach. Remont łącznic DTŚ z ul. Bytomską

  • Dodano: 2023-05-09 06:15, aktualizacja: 2023-05-09 06:19

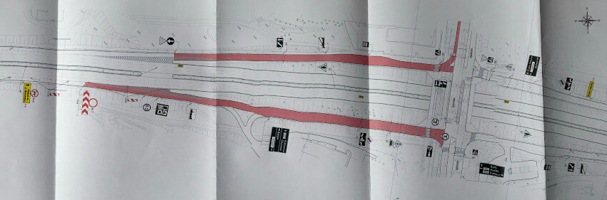
W dniu 9 maja 2023 r. planowane jest wprowadzenie tymczasowej organizacji ruchu w związku z I etapem remontu łącznic Drogowej Trasy Średnicowej z ul. Bytomską.

Zostały wyznaczone objazdy

W pierwszym etapie planowane jest wyłączenie z ruchu łącznicy wjazdowej na ul. Bytomską z DTŚ (od strony Gliwic/Rudy Śląskiej) oraz łącznicy zjazdowej z ul. Bytomskiej na DTŚ w kierunku Gliwic/Rudy Śląskiej. Podczas prowadzenia prac zostaną wyznaczone trasy objazdowe. Objazd do ul. Bytomskiej dla pojazdów poruszających się DTŚ w kierunku Katowic oraz dla pojazdów poruszających się ul. Bytomską w kierunku Gliwic zostanie wyznaczony przy wykorzystaniu węzła DTŚ z ul. Żołnierską.

Czas trwania prac, zgodnie z informacjami uzyskanymi od Wykonawcy, przewidywany jest na około 3 tygodnie.

Utrudnienia drogowe w Świętochłowicach. Remont łącznic DTŚ z ul. Bytomską

Komentarze (7)    dodaj »

  • marian56

    ten remont to nic , zapraszam wszystkich na przejazd ulicą Sudecką tam dopiero jakość !!! nowy asfalt ( od grudnia ) a jedziemy jak po falach , a od dziś nowe oznakowanie poziome , linie ciągłe i przerywane namalowane jakby malarz artysta był na pewno po kilku głębszych ponadto ktoś odpowiedzialny za to co malarze mają malować powinien zapoznać się jakie linie przerywane oddzielają pasy ruchu w tym samym kierunku a jakie w przeciwnych kierunkach . Co na to wydział ruchu KM ? Wykonawstwo to jakaś kpina , kompletne Niedbalstwo o publiczne pieniądze !!! Co na to Beger .

  • Fińskie domki

    3 tygodnie? W takim czasie Chiny budują 50 kilometrów autostrady (u siebie).Rozumiem tydzień, no ok. Ale tyle czasu i jeszcze napiszą "około" zakrawa o kpinę.

  • pol

    Czy wiadomo kto jest wykonawcą?

  • Adik z Chropaczowa

    Oby to był porządny remont bo ostatnimi czasy jak tak obserwuję to wszystko jest robione po tak zwanych łebkach i po najniżej linii oporu (najtaniej)... :-(

  • Kiedyś też z Chropocowa

    A przykład remontu Łagiewnickiej pokazuje dodatkowo, że pryszczoburger ma w 4 literach mieszkańców Chropaczowa. Kto próbował się przejść po dzielnicy wie o co chodzi. Gdzie są kładki dla pieszych w rejonie robót? Ludzie muszą się wspinać po wykopach, albo obchodzić w koło całą dzielnicę żeby przejść przez ulicę. Ilu niepełnosprawnych uwięziliście w domach przez ten pseudo remont ulicy?

  • gość

    oby nie spółka miejska... jedną drogę ich roboty widziałem. taka siermiężna jak z lat 80

  • Amiga

    Adik na prezydenta.

Dodaj komentarz

chcę otrzymać bezpłatny newsletter portalu Swiony.pl.

Publikowane komentarze są prywatnymi opiniami użytkowników portalu.
Wydawca portalu nie ponosi odpowiedzialności za treść opinii.

Czytaj również